
El monstruoso huracán Patricia se acercaba este viernes a la costa oeste de México como más poderoso jamás registrado en América del Norte, por lo que las autoridades se declararon en máxima alerta y la población se preparaba para recibir el impacto.
El gobierno se declaró en máxima alerta ante potenciales daños catastróficos de este huracán de categoría 5, la máxima de la escala Saffir-Simpson. Las autoridades evacuaron numerosas poblaciones costeras, cerraron los puertos de varios estados, suspendieron clases en zonas de riesgo y han exigido a turistas cancelar sus viajes. “Ningún huracán de esta magnitud había impactado el Pacífico mexicano”, escribió Twitter el presidente Enrique Peña Nieto.
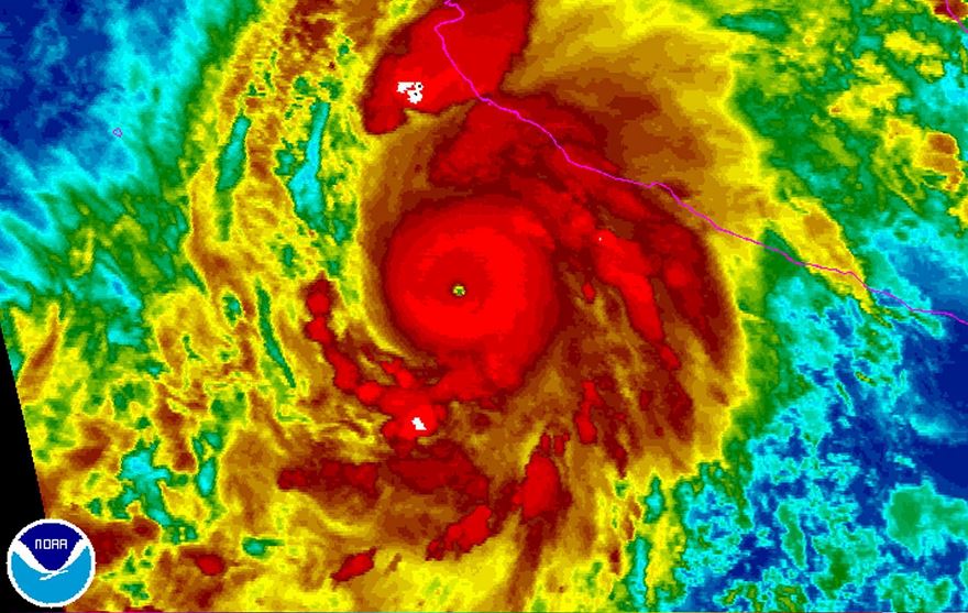
En su reporte de las 15H00 GMT, el Centro Nacional de Huracanes de Estados Unidos (NHC) detalló que Patricia registra vientos sostenidos de 325 km/h, lo que lo convierte en “el huracán más poderoso registrado”, tanto en el Pacífico como en el Atlántico norte, con posibles efectos “catastróficos” cuando toque tierra la tarde de este viernes.
Patricia, que podría cobrar aún más fuerza, se encuentra 200 km al suroeste del puerto de Manzanillo, en el estado de Colima, y se desplaza a 17 km/h.
“Es un huracán devastador, el más grande que se ha podido registrar desde que se tiene la posibilidad de registrar huracanes, y es por ello que hay que tomar previsiones extremas”, dijo a Radio Fórmula el secretario de Gobernación, Miguel Ángel Osorio Chong.
Las autoridades advierten que un huracán de esta magnitud es capaz de levantar automóviles, destruir casas que no estén cimentadas con acero, varilla y cemento y arrastrar a personas en las calles.
Se pronostica que el fenómeno toque tierra por la tarde en la costa central del estado de Jalisco, donde se encuentran centros vacacionales como Puerto Vallarta, pero debido a la amplitud del fenómeno sus efectos se sentirán desde el mediodía.
Según el Fondo Nacional de Desastres de Gobernación, unas 400.000 personas viven en zonas vulnerables.
Vía LP / www.diariorepublica.com





